Mua bán nhà đất có giá tốt nhất tại Phường Phú Đô, Quận Nam Từ Liêm, Hà Nội - T5/2026
Có 163 tin đăng



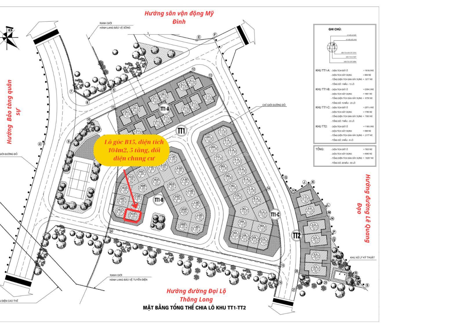
Bán biệt thự liền kề · Nhóm nhà ở Tây Nam Mễ Trì
LÔ GÓC HOA HẬU-LIỀN KỀ KINH DOANH-TRÍ ĐỘC TÔN-TÂY NAM MỄ TRÌ-SỔ ĐỎ- 104M2 - 38 TỶ - VIP MỸ ĐÌNH
38 tỷ365.4 triệu/m²
104 m²...
0
0



Bán căn hộ · Mỹ Đình Pearl
(Giá thật) cần bán căn hộ giá cực tốt tại chung cư Mỹ Đình Pearl, 93m2, 3PN 2VS. Giá chỉ 8.7 tỷ
8.7 tỷ93.5 triệu/m²
93 m²...
3
2

Bán căn hộ · Mỹ Đình Pearl
Bán căn hộ 74m2 Mỹ Đình Pearl, Phú Đô, Nam Từ Liêm, giá tốt, view đẹp lh em 0976 647 ***
8.5 tỷ114.9 triệu/m²
74 m²...
2
2

