


Khuôn đất lớn mặt tiền Nguyễn Chí Thanh Quận 10. DT: 18x40m, nở hậu. CN 631.7m2. Giá: 190 tỷ
Đường Nguyễn Chí Thanh, Phường 5, Quận 10, Hồ Chí Minh
Mức giá
190 tỷ301.1 triệu/m²Diện tích
631 m²10 x 63.1mLưu tin
Đặc điểm của bất động sản
Địa chỉĐường Nguyễn Chí Thanh, Phường 5, Quận 10, Hồ Chí Minh
Giá190 tỷ
Diện tích631 m²
Giá / m2301.1 triệu/m²
Mặt tiền10 m
Kích thước10 x 63.1m
Số phòng ngủ1
Số phòng tắm1
Số tầng1
Pháp lýSổ hồng/Sổ đỏ
Ngày đăng2 tháng trước
Mô tả chi tiết
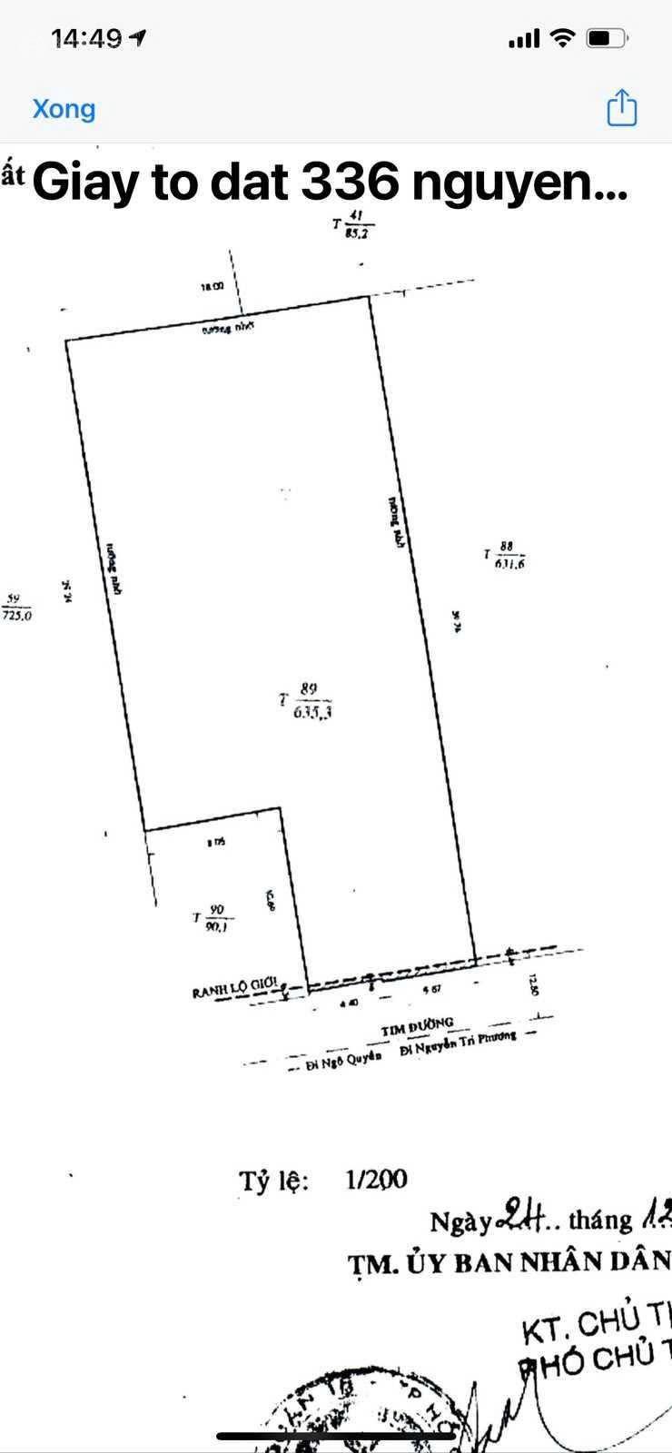
Bán nhà mặt tiền 336 Nguyễn Chí Thanh, Phường 5, Quận 10.
- Diện tích: 10x40m, vô 10m nở hậu đều 18m. Công nhận: 631.7m².
- Vị trí cực cao cấp: Gần vòng xoay Nguyễn Tri Phương.
- Kết cấu tiện xây mới: Làm building văn phòng, khách sạn,...
- Giá bán: 190 tỷ.
Liên hệ
- Diện tích: 10x40m, vô 10m nở hậu đều 18m. Công nhận: 631.7m².
- Vị trí cực cao cấp: Gần vòng xoay Nguyễn Tri Phương.
- Kết cấu tiện xây mới: Làm building văn phòng, khách sạn,...
- Giá bán: 190 tỷ.
Liên hệ
Lưu ý :
Quý vị đang xem nội dung tin rao "Bán căn nhà đường Võ Oanh, Hẻm xe hơi 5x15,1 Trệt 2 lầu/ 1 tum, nhà kiên cố ở liền, Giá 15ty " - Mã tin 250809. Mọi thông tin, nội dung liên quan tới tin rao này là do người đăng tin đăng tải và chịu trách nhiệm. Chuannhadat.com luôn cố gắng để các thông tin được hữu ích nhất cho quý vị tuy nhiên Chuannhadat.com không đảm bảo và không chịu trách nhiệm về bất kỳ thông tin, nội dung nào liên quan tới tin rao này. Trường hợp phát hiện nội dung tin đăng không chính xác. Quý vị hãy cung cấp thông tin cho Chuannhadat.com bằng cách gửi " Phản ánh / Báo xấu " để Ban quản trị kiểm tra lại thông tin bài đăng nhanh và kịp thời nhất.

