

Đẹp tuyệt vời 10x35m thổ cư 120m2 vị trí ngay TĐC Định Hòa TP mới BD giá tốt nhất khu đất vuông vức
Phường Định Hòa, Thành phố Thủ Dầu Một, Bình Dương
Mức giá
4.89 tỷ14 triệu/m²Diện tích
350 m²10 x 35mLưu tin
Đặc điểm của bất động sản
Địa chỉPhường Định Hòa, Thành phố Thủ Dầu Một, Bình Dương
Giá4.89 tỷ
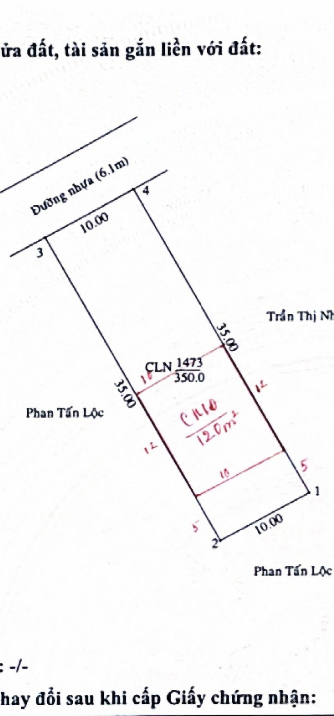
Diện tích350 m²
Giá / m214 triệu/m²
Mặt tiền10 m
Kích thước10 x 35m
Đường rộng6.1 m
Pháp lýSổ hồng/Sổ đỏ
Ngày đăng3 tháng trước
Mô tả chi tiết
BĐS đẹp tuyệt vời - DT: 10x35m thổ cư 120m² (đất vuông vức) lên rào ranh giới đầy đủ. Đất không quy hoạch Xây dựng tự do cấp giấy phép chính quy.
- Giá bán chỉ 4,89 tỷ thương lượng.
- Đất Định Hòa ngay giáp khu dân cư TĐC Định Hòa đường nhựa 6.1m thông 2 ôtô qua lại vi vu dân cư đông hiện hữu.
- Vị trí đẹp cách siêu thị Aeon trung tâm hành chính TP mới Bình Dương chỉ hơn 1 cây số trường chợ chỉ 3 phúr đi xe.
Kim Phát zalo .
Kim Phát zalo giáp chủ.
- Giá bán chỉ 4,89 tỷ thương lượng.
- Đất Định Hòa ngay giáp khu dân cư TĐC Định Hòa đường nhựa 6.1m thông 2 ôtô qua lại vi vu dân cư đông hiện hữu.
- Vị trí đẹp cách siêu thị Aeon trung tâm hành chính TP mới Bình Dương chỉ hơn 1 cây số trường chợ chỉ 3 phúr đi xe.
Kim Phát zalo .
Kim Phát zalo giáp chủ.
Lưu ý :
Quý vị đang xem nội dung tin rao "Bán căn nhà đường Võ Oanh, Hẻm xe hơi 5x15,1 Trệt 2 lầu/ 1 tum, nhà kiên cố ở liền, Giá 15ty " - Mã tin 250809. Mọi thông tin, nội dung liên quan tới tin rao này là do người đăng tin đăng tải và chịu trách nhiệm. Chuannhadat.com luôn cố gắng để các thông tin được hữu ích nhất cho quý vị tuy nhiên Chuannhadat.com không đảm bảo và không chịu trách nhiệm về bất kỳ thông tin, nội dung nào liên quan tới tin rao này. Trường hợp phát hiện nội dung tin đăng không chính xác. Quý vị hãy cung cấp thông tin cho Chuannhadat.com bằng cách gửi " Phản ánh / Báo xấu " để Ban quản trị kiểm tra lại thông tin bài đăng nhanh và kịp thời nhất.








