

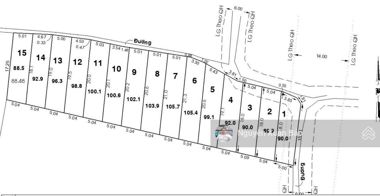
Chính chủ gửi lô đất mặt tiền đường nhựa 30m (bồn hoa ở giữa) khu tái định cư An Hạ, giá 2tỷ7 chốt
Xã Phạm Văn Hai, Huyện Bình Chánh, Hồ Chí Minh
Mức giá
2.7 tỷ27 triệu/m²Diện tích
100 m²5 x 20mLưu tin
Đặc điểm của bất động sản
Địa chỉXã Phạm Văn Hai, Huyện Bình Chánh, Hồ Chí Minh
Giá2.7 tỷ
Diện tích100 m²
Giá / m227 triệu/m²
Mặt tiền5 m
Kích thước5 x 20m
Đường rộng30 m
Pháp lýSổ hồng/Sổ đỏ
Ngày đăng1 tháng trước
Mô tả chi tiết
Chính chủ gửi bán lô đất mặt tiền đường nhựa 30m (bồn hoa ở giữa) khu tái định cư An Hạ, giá 2tỷ7 chốt
Diện tích 5 x 20m, hướng Tây Bắc.
Vị trí đất thuộc khu sung của dự án.
Liên hệ Bảo nắm chính chủ.
Diện tích 5 x 20m, hướng Tây Bắc.
Vị trí đất thuộc khu sung của dự án.
Liên hệ Bảo nắm chính chủ.
Lưu ý :
Quý vị đang xem nội dung tin rao "Bán căn nhà đường Võ Oanh, Hẻm xe hơi 5x15,1 Trệt 2 lầu/ 1 tum, nhà kiên cố ở liền, Giá 15ty " - Mã tin 250809. Mọi thông tin, nội dung liên quan tới tin rao này là do người đăng tin đăng tải và chịu trách nhiệm. Chuannhadat.com luôn cố gắng để các thông tin được hữu ích nhất cho quý vị tuy nhiên Chuannhadat.com không đảm bảo và không chịu trách nhiệm về bất kỳ thông tin, nội dung nào liên quan tới tin rao này. Trường hợp phát hiện nội dung tin đăng không chính xác. Quý vị hãy cung cấp thông tin cho Chuannhadat.com bằng cách gửi " Phản ánh / Báo xấu " để Ban quản trị kiểm tra lại thông tin bài đăng nhanh và kịp thời nhất.








