

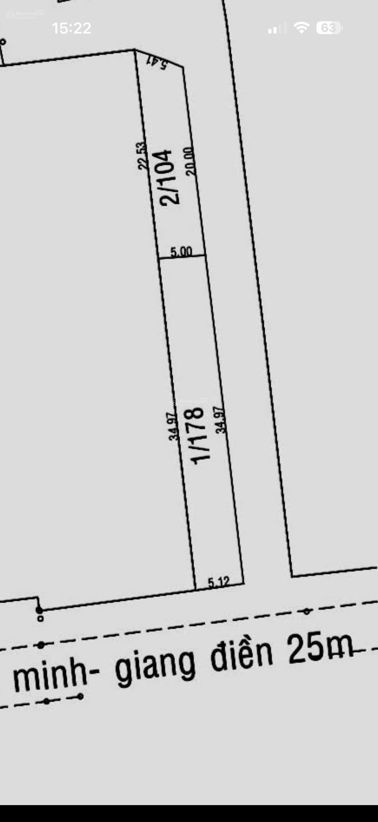
Bán 2 lô đất nền thổ cư 100% lô góc ,2 mặt tiền Đường Bình Mình giá rẻ
Đường Bình Minh, Xã Giang Điền, Huyện Trảng Bom, Đồng Nai
Mức giá
1.7 tỷ15.5 triệu/m²Diện tích
110 m²Lưu tin
Đặc điểm của bất động sản
Địa chỉĐường Bình Minh, Xã Giang Điền, Huyện Trảng Bom, Đồng Nai
Giá1.7 tỷ
Diện tích110 m²
Giá / m215.5 triệu/m²
Ngày đăng4 tháng trước
Mô tả chi tiết
Bán 2 lô đất nền thổ cư 100% lô góc ,2 mặt tiền Đường Bình Mình
-Giang Điền giá chỉ 4,.tỷ .1 lô cũng 2 mặt tiền 1,7 tỷ ngay khu dân cư Giang Điền
-kế bên Giáo Xứ Giang Điền và chợ Giang Điền , liền kề trường cấp 1 , cấp 2 Trần Quốc Tuấn.
-Cách Khu du lịch Giang Điền 1 km và cách khu công nghiệp Giang Điền 1,5 km.
-Cách quốc lộ 1A khoảng 1,2 km .
lh: để được tư vấn và xem đất ạ !
-Giang Điền giá chỉ 4,.tỷ .1 lô cũng 2 mặt tiền 1,7 tỷ ngay khu dân cư Giang Điền
-kế bên Giáo Xứ Giang Điền và chợ Giang Điền , liền kề trường cấp 1 , cấp 2 Trần Quốc Tuấn.
-Cách Khu du lịch Giang Điền 1 km và cách khu công nghiệp Giang Điền 1,5 km.
-Cách quốc lộ 1A khoảng 1,2 km .
lh: để được tư vấn và xem đất ạ !
Lưu ý :
Quý vị đang xem nội dung tin rao "Bán căn nhà đường Võ Oanh, Hẻm xe hơi 5x15,1 Trệt 2 lầu/ 1 tum, nhà kiên cố ở liền, Giá 15ty " - Mã tin 250809. Mọi thông tin, nội dung liên quan tới tin rao này là do người đăng tin đăng tải và chịu trách nhiệm. Chuannhadat.com luôn cố gắng để các thông tin được hữu ích nhất cho quý vị tuy nhiên Chuannhadat.com không đảm bảo và không chịu trách nhiệm về bất kỳ thông tin, nội dung nào liên quan tới tin rao này. Trường hợp phát hiện nội dung tin đăng không chính xác. Quý vị hãy cung cấp thông tin cho Chuannhadat.com bằng cách gửi " Phản ánh / Báo xấu " để Ban quản trị kiểm tra lại thông tin bài đăng nhanh và kịp thời nhất.






