


Bán nhà HXH Nguyễn Xiển 347,6m2 thổ cư giá 14,5 tỷ ngang 14m nở hậu
Đường Nguyễn Xiển, Phường Long Thạnh Mỹ, Quận 9, Hồ Chí Minh
Mức giá
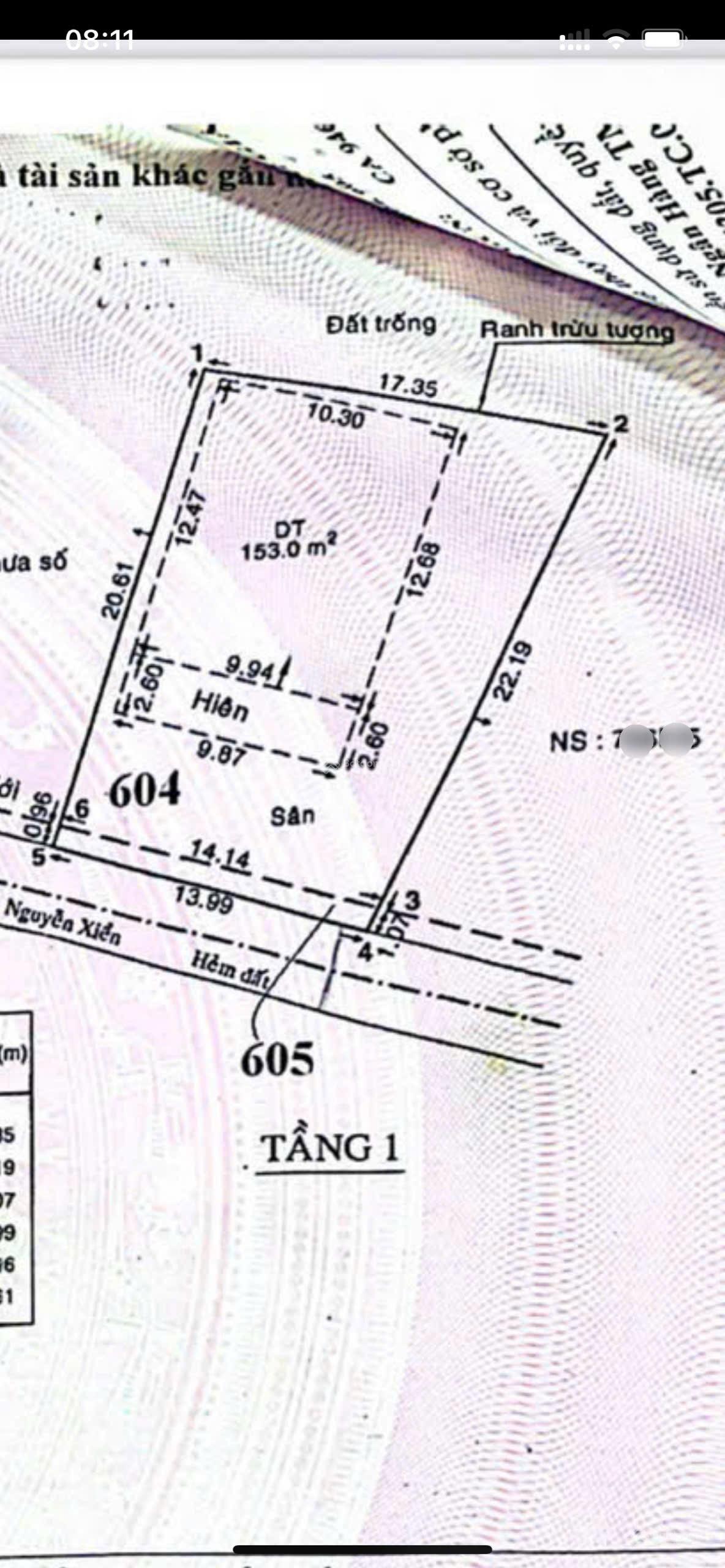
14.5 tỷ41.8 triệu/m²Diện tích
347 m²14 x 24.8mLưu tin
Đặc điểm của bất động sản
Địa chỉĐường Nguyễn Xiển, Phường Long Thạnh Mỹ, Quận 9, Hồ Chí Minh
Giá14.5 tỷ
Diện tích347 m²
Giá / m241.8 triệu/m²
Mặt tiền14 m
Kích thước14 x 24.8m
Đường rộng4 m
Pháp lýSổ hồng/Sổ đỏ
Ngày đăng2 tháng trước
Mô tả chi tiết
Cần bán nhà HXH đường Nguyễn Xiển, Long Thạnh Mỹ, Q9. Gần Vinhomes Q9.
Diện tích 14x21m nở hậu đẹp.
Đất thổ cư 333,4m² đất CLN 14,2m².
Giá bán 14,5 tỷ.
Chủ nhà đang vay ngân hàng và đi định cư, cần bán gấp trước tết.
Liên hệ a Vinh.
Xin cảm ơn quý khách xem tin.
Diện tích 14x21m nở hậu đẹp.
Đất thổ cư 333,4m² đất CLN 14,2m².
Giá bán 14,5 tỷ.
Chủ nhà đang vay ngân hàng và đi định cư, cần bán gấp trước tết.
Liên hệ a Vinh.
Xin cảm ơn quý khách xem tin.
Lưu ý :
Quý vị đang xem nội dung tin rao "Bán căn nhà đường Võ Oanh, Hẻm xe hơi 5x15,1 Trệt 2 lầu/ 1 tum, nhà kiên cố ở liền, Giá 15ty " - Mã tin 250809. Mọi thông tin, nội dung liên quan tới tin rao này là do người đăng tin đăng tải và chịu trách nhiệm. Chuannhadat.com luôn cố gắng để các thông tin được hữu ích nhất cho quý vị tuy nhiên Chuannhadat.com không đảm bảo và không chịu trách nhiệm về bất kỳ thông tin, nội dung nào liên quan tới tin rao này. Trường hợp phát hiện nội dung tin đăng không chính xác. Quý vị hãy cung cấp thông tin cho Chuannhadat.com bằng cách gửi " Phản ánh / Báo xấu " để Ban quản trị kiểm tra lại thông tin bài đăng nhanh và kịp thời nhất.





